Message
619-880-2112
  • Home
  • About
    • Our Philosophy
    • Our Services
    • Meet the Team
    • Proven Results
  • Real Estate Services
    • Legacy's Featured
      Listings
    • Search Properties
    • Featured Communities
    • Landlord/Tenant Q&A
    • Tenant Maintenance
      Request
  • Our Legacy: Client Testimonials
Log in
  • Home
  • About
    • Our Philosophy
    • Our Services
    • Meet the Team
    • Proven Results
  • Real Estate Services
    • Legacy's Featured
      Listings
    • Search Properties
    • Featured Communities
    • Landlord/Tenant Q&A
    • Tenant Maintenance
      Request
  • Our Legacy: Client Testimonials

property-detail

property-detail

property-detail

43600 7th, Lancaster, CA 93535

$495,000 LOGIN TO SAVE

43600 7th, Lancaster, CA 93535
Bedrooms:
span widget
Bathrooms:
span widget
span widget
Area: SqFt.

    Description


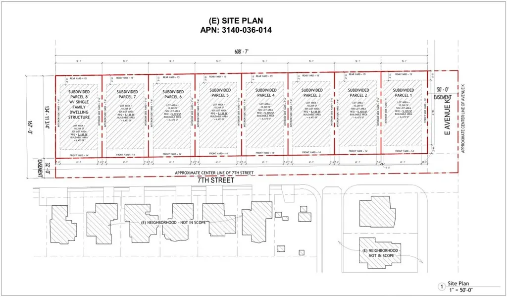
    Introducing an exceptional chance to develop in one of Lancasters most promising growth areas. This 2.16-acre (94,090 SF) residential parcel, APN: 3140-036-014, zoned LRR1-7000, is perfectly positioned for investors or builders seeking a ready-to-go project with impressive upside. A Property Survey along with Preliminary Concept Architectural & Design Plans, including subdivision layouts, site studies, and detailed renderings for eight single-family homes on quarter-acre lots, have already been completed by Drury Architects and are available upon request. Much of the upfront planning is done, making this an ideal plug-and-play development opportunity. The seller has also added value by installing quality fencing around the entire parcel, giving buyers added security, clear boundaries, and reduced prep work ahead of development. Positioned on a flat, fully-fenced corner lot at Avenue K and 7th Street East, this property boasts approximately 608 feet of frontage on 7th Street East and 154 feet of frontage on Avenue K. With all major utilities already at the street (electricity, water, and sewer), developers benefit from lower infrastructure costs and simplified construction logistics. Located in the heart of Lancaster and surrounded by established neighborhoods, schools, businesses, and essential services, this parcel sits in a high-demand residential corridor with strong long-term growth. Whether you're preparing to build immediately or securing land in a rapidly expanding market, this property delivers both value and vision. Dont miss the chance to capitalize on a rare deve

    Features

    ​​​​​​​

    Natalie Klinefelter

    Broker/Owner
    CABRE# 02037944
    Address:
    3772 Clairemont Drive
    San Diego, CA 92117
    Office:
    619-880-2112
    By submitting this form with your telephone number, you are consenting for Natalie Klinefelter and authorized representatives to contact you even if you are on the federal "Do-not-call List."
    Form submitted successfully!
    You are missing required fields.
    Dynamic Error Description
    There was an error processing this form.

    Contact Us

    619-880-2112

    3772 Clairemont Drive
    San Diego, CA 92117

    Info@TheLegacyRECo.com

    The Legacy Real Estate Co.

    CA DRE#: 02037944

    This information is deemed reliable but not guaranteed. You should rely on this information only to decide whether or not to further investigate a particular property. BEFORE MAKING ANY OTHER DECISION, YOU SHOULD PERSONALLY INVESTIGATE THE FACTS (e.g. square footage and lot size) with the assistance of an appropriate professional. You may use this information only to identify properties you may be interested in investigating further. All uses except for personal, non-commercial use in accordance with the foregoing purpose are prohibited. Redistribution or copying of this information, any photographs or video tours is strictly prohibited. This information is derived from the Internet Data Exchange (IDX) service provided by Sandicor®. Displayed property listings may be held by a brokerage firm other than the broker and/or agent responsible for this display. The information and any photographs and video tours and the compilation from which they are derived is protected by copyright. A Compilation © 2017 Sandicor®, Inc.
    • Home
    • Property Search
    • News and Events
    • Testimonials
    • About Us
    Powered by: powered by Roya.com

    Send Us A Message

    Form submitted successfully!
    You are missing required fields.
    Dynamic Error Description
    There was an error processing this form.

    Send Us A Message

    Form submitted successfully!
    You are missing required fields.
    Dynamic Error Description
    There was an error processing this form.

    Login


    Forgot Password?

    OR

    Sign in with Facebook Sign in with Google


    Looking to create an account ?
    Already have an account? Login

    Save Search


    Saved Searches

      Modal title

      One fine body…

      Update Profile